


We use the AndroScope CASA for all our semen evaluations stand alone or in conjunction with another service.
AndroScope is a compact mobile CASA system that is based on AndroVision® and allows for the analysis of semen samples anywhere.
This portable computer assisted sperm analysis is new technology and at the top of its class! It offers many advantages to you and your stud dog including its ability to chart your dog’s semen collection history.






We are proud to offer state of the art Idexx radiology technology and equipment, which allows the clearest of images to be provided to our clientele. This is especially helpful when needing to determine final puppy count prior to whelp. The best time to perform a pregnancy radiograph is 55 days or later from breeding. An appointment is required for this service.
We are also proud to offer OFA (Orthopedic Foundation for Animals) image submissions. This is a requirement amongst many AKC breed clubs and may include several different image types such as:
Please call ahead to verify availability. In most cases, we are able to accommodate same day scheduling, but want to make sure we are able to dedicate all the time necessary to obtain excellent images.
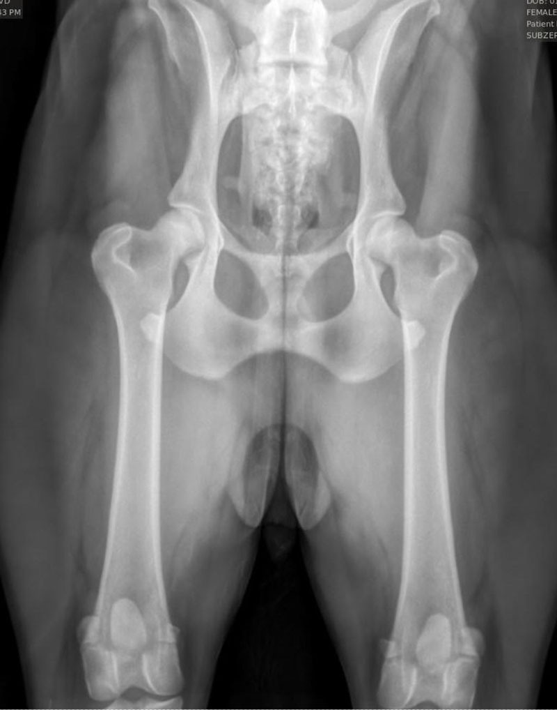
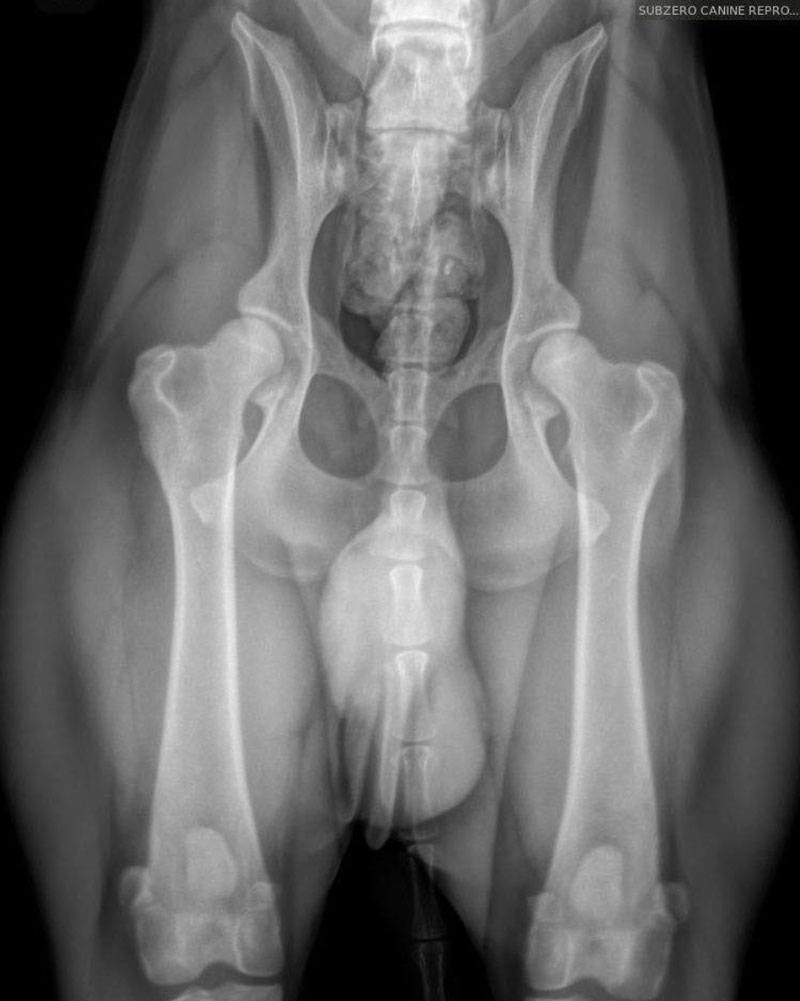
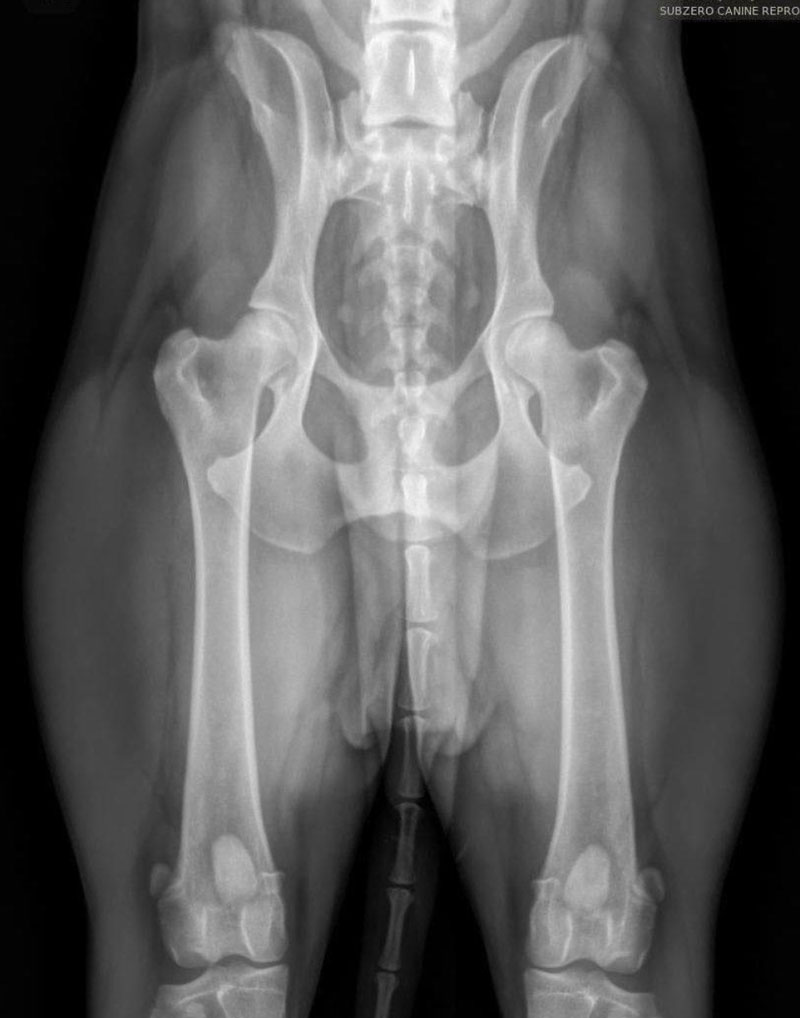
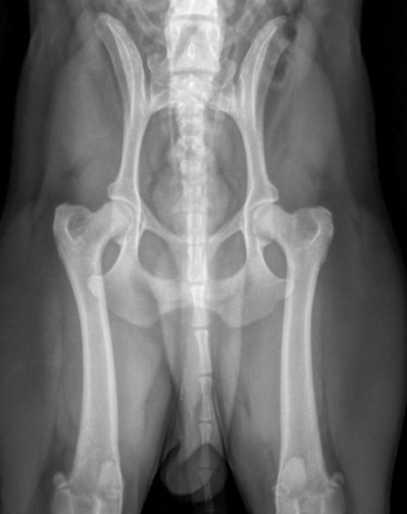
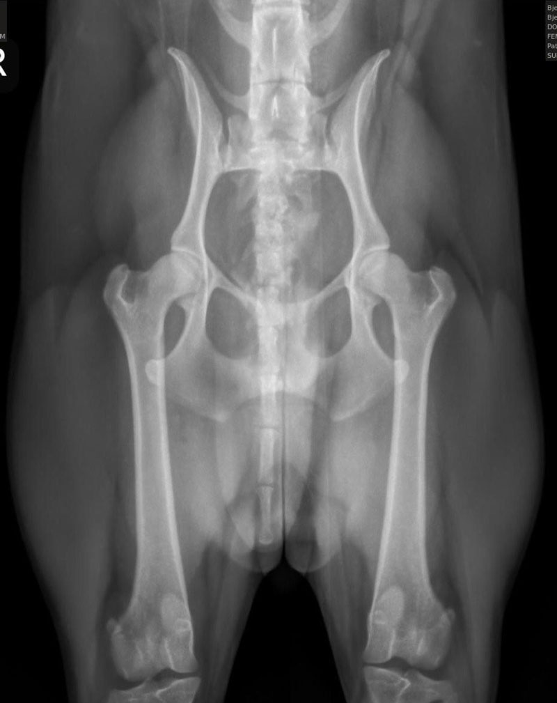
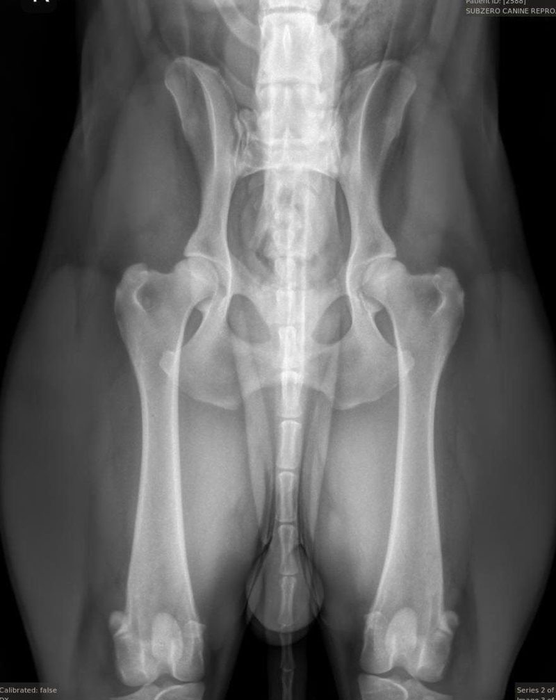
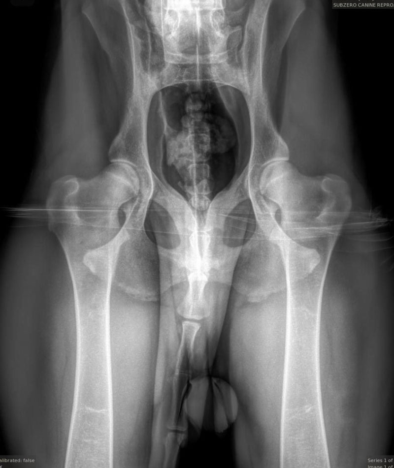
We frequently receive inquiries regarding our success with proper positioning for OFA images, specifically for hips. Translating this success can be challenging, so we have included images of various breeds that we have taken. We take great pride in our success with these images and many others like them. As extreme perfectionists, we appreciate owners who understand that we strive for the best technique and outcome while minimizing stress and ensuring the comfort of your dog(s), particularly since all images taken here are done WITHOUT sedation.
We would like to extend our gratitude to all who choose to utilize our services for this purpose. We look forward to seeing you and your next generation of dogs on their health test journey!
OFA imaging is available Tuesday through Thursday. To schedule an appointment, please contact our office via phone or text at 951-587-9921.
For weekend appointments, please note that these are ONLY available during our OFA Health Clinic events in conjunction with the Cocker Spaniel Club of California. For more information on these events, please contact Celyn at K9healthclinics@gmail.com to inquire about upcoming clinics.
Please visit www.ofa.org for more information on specific breed diagnostic imaging

Site designed and developed by Baseline Creative